Local Service Overview

Get Ants Extermination Service in Richmond, TX

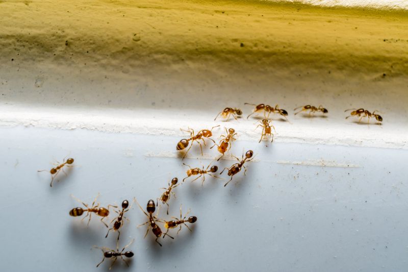
Ants extermination services for property owners in Richmond, TX, and nearby areas address ant infestations, prevent future outbreaks, and handle residential and commercial pest control projects.

Richmond, TX

Ants extermination services are essential for property owners in Richmond, TX seeking to maintain a comfortable and safe living or working environment. By addressing ant infestations promptly, property owners can prevent damage to structures, electrical wiring, and stored goods, while also reducing the risk of health issues associated with pest presence. Professional extermination helps ensure that homes and businesses remain functional and free from disruptions caused by unwanted pests, promoting peace of mind and a sense of security.

Additionally, effective ant control can enhance curb appeal by eliminating visible signs of infestation, such as trails and nests. This not only contributes to the overall appearance of a property but also minimizes ongoing maintenance needs. Property owners often look for solutions that provide long-lasting results, helping to preserve the property's durability and appearance over time, while reducing the frequency of pest-related concerns.

Get Ants Extermination Service Quotes

  • Ants Extermination - A service needed when ants invade homes or businesses in Richmond, TX and surrounding areas.
  • Ants Extermination - Essential for property owners experiencing persistent ant colonies in kitchens, basements, or outdoor spaces.
  • Ants Extermination - Suitable for residents dealing with seasonal ant swarms or unexpected infestations.
  • Ants Extermination - Recommended when ant trails or nests are found in yards or near building foundations.
  • Ants Extermination - Necessary for commercial properties facing ant issues that threaten hygiene or customer experience.

Get Ants Extermination Service Quotes

Ants Extermination Service
Ants Extermination Service
Ants Extermination Service

Ants extermination services involve identifying and eliminating ant infestations within residential, commercial, and industrial properties. Professional pest control providers typically conduct thorough inspections to locate ant colonies and determine the species involved. Treatment methods may include the application of targeted insecticides, baiting systems, and barrier treatments designed to eradicate ants at their source and prevent future invasions. The goal is to remove the existing infestation efficiently while reducing the likelihood of recurrence through strategic pest management techniques.

These services address common problems associated with ant infestations, such as property damage, contamination of food supplies, and general nuisance. Ants can invade kitchens, pantries, and other areas where food is stored, posing health risks and creating unsanitary conditions. Additionally, certain species, like carpenter ants, can cause structural damage by burrowing into wood. Professional extermination helps mitigate these issues by eliminating the colonies and implementing preventative measures to keep properties ant-free over time.

Properties that typically utilize ant extermination services range from single-family homes to larger commercial buildings. Residential properties often seek assistance when ants become a persistent nuisance or threaten food safety. Commercial establishments, such as restaurants, grocery stores, and food processing facilities, frequently require regular pest management to maintain hygiene standards and comply with health regulations. Additionally, property managers and landlords may contract pest control providers to address infestations across multiple units or common areas, ensuring a pest-free environment for tenants and visitors.

Local pest control professionals offer tailored ant extermination solutions based on the specific needs of each property. They use a variety of treatment techniques suited to different environments and ant species, aiming to effectively eradicate colonies and prevent future issues. Property owners and managers can contact local providers to discuss their ant problems and explore options for ongoing pest management, ensuring the comfort and safety of occupants while protecting the integrity of their property.

The overview below groups typical Ants Extermination Service projects into broad ranges so you can see how smaller, mid-sized, and larger jobs often compare in Richmond, TX.

In many markets, a large share of routine jobs stays in the lower and middle ranges, while only a smaller percentage of projects moves into the highest bands when the work is more complex or site conditions are harder than average.

Initial Inspection Cost - Typically ranges from $50 to $150 for a professional assessment of ant activity and entry points. The fee may vary based on property size and infestation severity.

Per-Visit Treatment Cost - Single treatment visits generally cost between $100 and $300, depending on the extent of the ant problem and treatment methods used.

Multiple Treatment Packages - Comprehensive ant extermination plans can range from $200 to $600, often including follow-up visits to ensure complete eradication.

Preventative Service Cost - Ongoing preventative treatments usually cost around $50 to $150 per visit, with prices influenced by property size and treatment frequency.

Actual totals will depend on details like access to the work area, the scope of the project, and the materials selected, so use these as general starting points rather than exact figures.

Get an Ants Extermination Service Quote

Ants Extermination - Local pest control providers offer targeted solutions to eliminate ant colonies from residential and commercial properties in Richmond, TX and surrounding areas.

Ant Infestation Removal - Service providers utilize effective methods to identify and remove ant infestations, preventing future invasions and protecting property integrity.

Ant Control Treatments - Professionals apply specialized treatments designed to eradicate ants and their nests, reducing the likelihood of recurring problems.

Ant Barrier Installation - Experts can establish barriers around structures to deter ants from entering, providing ongoing protection against infestations.

Natural Ant Extermination - Some local pros offer eco-friendly options for ant removal that minimize the use of harsh chemicals while effectively controlling pests.

Ant Prevention Services - Service providers advise on and implement measures to prevent ant invasions, supporting long-term pest management.

Ants Extermination Service

When comparing ant extermination services offered by local professionals, experience is a key factor to consider. Homeowners should look for service providers with a proven track record in managing ant infestations within the Richmond, TX area. Experienced pros are familiar with the common types of ants in the region and understand effective treatment methods, which can contribute to more thorough and lasting results. It’s beneficial to review the background of each service provider to ensure they have a history of handling similar cases successfully.

Clear and written expectations are essential when evaluating local ant extermination options. Reputable service providers typically outline the scope of work, treatment procedures, and any necessary follow-up actions in their communications. This transparency helps homeowners understand what to anticipate and ensures there are no surprises after the service is performed. Asking for detailed explanations about the treatment plan can aid in making an informed decision and aligning expectations with the services offered.

Reputable references and effective communication are important indicators of quality service. Homeowners are encouraged to seek out service providers who can provide references or testimonials from previous clients, which can offer insights into their reliability and effectiveness. Additionally, a professional approach to communication-such as prompt responses to inquiries and clear explanations-can reflect the level of customer service. While the information below introduces local options, it is important to remember that it connects users with local pros and does not perform the work itself.

Get an Ants Extermination Service Quote

Property owners in Richmond, TX use Ants Extermination Service services for practical projects around their homes and businesses. The sections below highlight everyday jobs and straightforward project options.

Ants Extermination Service
Ants Extermination Service

Ants extermination services are commonly sought by property owners in Richmond, TX, when they notice persistent ant activity around their homes or businesses. Common situations include discovering ant trails in kitchens, bathrooms, or outdoor areas, especially during warmer months when ant colonies become more active. Property owners may also seek professional help after attempting DIY solutions that fail to eliminate the infestation or when they want to prevent future ant problems from developing.

In addition to immediate infestations, local property owners often look for ant extermination services as part of ongoing pest management efforts. This is particularly relevant for properties located near wooded areas or landscapes that attract ants. Regular inspections and targeted treatments can help maintain a pest-free environment, reducing the risk of ants causing damage or becoming a nuisance in residential and commercial spaces throughout Richmond.

Get an Ants Extermination Service Quote

How do ant extermination services work? Ant extermination services typically involve inspecting the affected area, identifying ant species and entry points, and applying targeted treatments to eliminate colonies and prevent future infestations.

Are there different types of ant treatments available? Yes, local service providers may offer various treatment options, including baiting, liquid sprays, and dust applications, tailored to the specific ant problem.

How long does an ant extermination treatment last? The duration of effectiveness can vary depending on the treatment method and extent of the infestation; a professional can advise on maintenance or repeat treatments if needed.

Is ant extermination safe for pets and children? Most professional treatments are designed to be safe when applied properly, but it's advisable to follow any safety instructions provided by the service provider.

How can I prevent future ant problems? Local ant extermination experts can recommend sealing entry points, removing food sources, and implementing ongoing prevention strategies to reduce the likelihood of future infestations.

Ants Extermination Solutions - Local service providers offer targeted treatments to eliminate ant colonies and prevent future infestations.

Inspection and Identification - Pros can assess property conditions to identify ant entry points and nesting areas for effective control.

Barrier Treatments - Professionals apply exterior and interior barriers to create a protective zone against ant intrusion.

Ongoing Monitoring and Prevention - Service providers can establish maintenance plans to monitor ant activity and implement preventative measures.

Ants Extermination Service

Considering Ants Extermination Service for a property in Richmond, TX? The sections above highlight common project types, practical options, and details that often shape the scope of work.

When you are ready, use the quote form to share a few details about your project. Local pros can review the basics and respond with options that match what you have in mind.

Get an Ants Extermination Service Quote

Ants Extermination Quotes

Our Trusted Partners
Cantu Pest Control
Orkin
Hawx Pest Control