Local Service Overview

Get Ants Extermination Service in Missouri City, TX

Ants extermination services for property owners in Missouri City, TX, and nearby areas address ant infestations, prevent future invasions, and handle residential and commercial pest control projects.

Missouri City, TX

Ants extermination services are an essential consideration for property owners in Missouri City, TX, seeking to maintain a comfortable and functional living environment. Effective removal helps prevent infestations that can cause property damage, interfere with daily activities, and compromise hygiene. By partnering with experienced service providers, residents can enjoy peace of mind knowing that their homes and businesses are protected from the nuisances and potential health concerns associated with ant colonies.

Choosing professional ant extermination offers numerous benefits, including enhanced safety, increased durability of structures, and reduced maintenance needs. Proper treatment can help preserve the integrity of building foundations and landscaping, while also boosting curb appeal by keeping outdoor spaces tidy and pest-free. Property owners who prioritize these aspects often find that investing in reliable extermination services contributes to a safer, more attractive, and more enduring property.

Get Ants Extermination Service Quotes

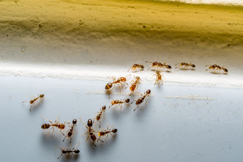
  • Ants Infestation - when signs of ant activity are detected inside a home or business in Missouri City, TX, and surrounding areas.
  • Kitchen Ants Control - when ants invade kitchens, contaminating food and surfaces in nearby neighborhoods.
  • Outdoor Ants Removal - when ant colonies are established around yards, gardens, or outdoor living spaces in local communities.
  • Persistent Ant Problems - when recurring ant issues require professional intervention to eliminate colonies effectively.
  • Ant Mound Treatment - when large ant mounds appear in lawns or landscaped areas near residential or commercial properties.

Get Ants Extermination Service Quotes

Ants Extermination Service
Ants Extermination Service
Ants Extermination Service

Ants extermination services involve identifying and removing ant colonies from residential, commercial, or industrial properties. Professionals typically conduct thorough inspections to locate ant nests and entry points, then apply targeted treatments to eliminate existing colonies. These services often include the use of specialized baits, insecticides, and barrier treatments designed to control and prevent future ant infestations. The goal is to reduce ant activity effectively while minimizing disruption to the property environment.

Ant infestations can pose various problems, including property damage and hygiene concerns. Certain ant species, such as carpenter ants, can cause structural damage by burrowing into wood, while others may contaminate food supplies or create unsightly trails that attract additional pests. Persistent ant presence can also lead to increased frustration and discomfort for residents or employees. Professional extermination services help address these issues by providing a comprehensive approach to control and eliminate ant populations.

Properties that commonly utilize ant extermination services range from single-family homes to large commercial facilities. Residential properties often seek assistance to protect kitchens, dining areas, and outdoor spaces from ant invasions. Commercial establishments, including restaurants, warehouses, and office buildings, may require regular pest management to maintain hygiene standards and prevent disruptions. Additionally, property managers and landlords may engage pest control providers to manage ant issues across multiple units or rental properties.

Partnering with local pest control professionals ensures that ant extermination services are tailored to the specific needs of each property. These experts can assess the severity of the infestation, recommend appropriate treatment plans, and implement effective solutions to keep ant populations under control. Contacting a local service provider is a practical step toward resolving ant problems and maintaining a pest-free environment.

The overview below groups typical Ants Extermination Service projects into broad ranges so you can see how smaller, mid-sized, and larger jobs often compare in Missouri City, TX.

In many markets, a large share of routine jobs stays in the lower and middle ranges, while only a smaller percentage of projects moves into the highest bands when the work is more complex or site conditions are harder than average.

Initial Inspection - The cost for an initial ant inspection typically ranges from $50 to $150, depending on property size and complexity. This fee covers identifying ant species and infestation severity.

Basic Treatment - A standard ant extermination service usually costs between $100 and $300. The price varies based on the extent of the infestation and the treatment method used.

Extended Service Plans - For ongoing or comprehensive treatments, costs can range from $200 to $500. These plans often include multiple visits and follow-up treatments.

Specialized Treatments - For severe or hard-to-reach infestations, prices may be $300 to $700 or more. These services often involve advanced techniques or barrier applications.

Actual totals will depend on details like access to the work area, the scope of the project, and the materials selected, so use these as general starting points rather than exact figures.

Get an Ants Extermination Service Quote

Ants Extermination services involve professionals who specialize in identifying and eliminating ant colonies within residential and commercial properties in Missouri City, TX and nearby areas.

Local pest control providers offer targeted treatments to remove ant infestations and prevent future invasions, ensuring a pest-free environment.

Experts utilize a variety of methods, including baits and residual sprays, tailored to effectively address different ant species and infestation levels.

Ants Extermination services also include inspection and assessment to determine the extent of the problem and recommend appropriate treatment plans.

Service providers may offer ongoing maintenance and monitoring to ensure ants do not return after initial treatment.

Contacting local pros ensures access to professional assistance for safe and effective ant control solutions.

Ants Extermination Service

When comparing ant extermination services in Missouri City, TX, experience is a key factor to consider. Local pros typically have varying levels of familiarity with the specific types of ant infestations common in the area, which can influence their approach and effectiveness. Reviewing the backgrounds of service providers can help identify those who have successfully handled similar cases, ensuring that the chosen professional understands the unique challenges posed by local ant species and environmental conditions.

Clear communication and well-defined expectations are essential when selecting an ant extermination service. Reputable providers often outline their service process, what homeowners can expect during treatments, and any necessary follow-up steps. This transparency helps homeowners make informed decisions and prepares them for the treatment experience, reducing potential misunderstandings and ensuring that the service aligns with their needs.

Reputable references and reliable reputation are crucial indicators of a service provider’s credibility. Local pros often have established track records within the community, which can be verified through references or reviews. Connecting with previous clients or checking online ratings can provide insights into the professionalism, quality of work, and dependability of the extermination services. Since this platform introduces local options rather than performing the work itself, it’s important to evaluate these aspects to find a provider that is well-regarded and trustworthy.

Get an Ants Extermination Service Quote

Property owners in Missouri City, TX use Ants Extermination Service services for practical projects around their homes and businesses. The sections below highlight everyday jobs and straightforward project options.

Ants Extermination Service
Ants Extermination Service

Ants extermination services are commonly sought by property owners in Missouri City, TX, when they notice ant activity around their homes or businesses. Common situations include finding trails of ants in kitchens, bathrooms, or other living spaces, which can be a nuisance and a sign of larger infestations. Property owners may also request pest control services after noticing ant mounds outdoors or experiencing increased ant presence during warmer months, prompting them to seek professional assistance to address the problem effectively.

In addition to visible ant activity, property owners might look for extermination services to prevent future infestations or to eliminate existing colonies that threaten the comfort and cleanliness of their properties. Ants can sometimes invade food storage areas or damage structures, making timely intervention important. Local service providers can offer solutions tailored to specific situations, helping residents and business owners maintain pest-free environments in Missouri City, TX.

Get an Ants Extermination Service Quote

How do ant extermination services work? Ant extermination services typically involve identifying the ant species, locating their nests, and applying targeted treatments to eliminate colonies and prevent future infestations.

Are the treatments safe for pets and children? Most ant extermination treatments are designed to be safe when applied by professionals, but it is recommended to discuss any concerns with the service provider before treatment.

How long does an ant extermination treatment take? The duration of treatment can vary depending on the extent of the infestation, but many services can complete the process within a few hours.

Will I need multiple treatments to eliminate ants? Some ant species may require more than one treatment to fully eradicate the colony and prevent re-infestation.

How can I prevent future ant problems? Professional pest control providers can offer advice on reducing attractants, sealing entry points, and maintaining a clean environment to help prevent future ant issues.

Ants Extermination Techniques - Local service providers offer a variety of methods to eliminate ant infestations, including baiting and chemical treatments.

Inspection and Identification - Professionals can assess property conditions to identify ant entry points and nesting areas for targeted removal.

Preventive Measures - Experts recommend sealing entry points and removing attractants to reduce the likelihood of future ant problems.

Ongoing Monitoring and Maintenance - Regular inspections by local pros help ensure ant activity is kept under control and prevent re-infestation.

Ants Extermination Service

Considering Ants Extermination Service for a property in Missouri City, TX? The sections above highlight common project types, practical options, and details that often shape the scope of work.

When you are ready, use the quote form to share a few details about your project. Local pros can review the basics and respond with options that match what you have in mind.

Get an Ants Extermination Service Quote

Ants Extermination Quotes

Our Trusted Partners
Cantu Pest Control
Orkin
Hawx Pest Control